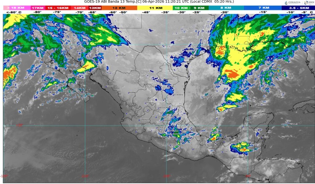
#NACIONAL🇲🇽 II Buenos días ☀️ll El Servicio Meteorológico Nacional pronostica que el frente frío número 43 se extenderá sobre el golfo de México y continuará interactuando con una vaguada en altura y con la corriente en chorro subtropical, propiciando lluvias puntuales intensas en Veracruz, Oaxaca, Tabasco y Chiapas; puntuales muy fuertes en Puebla y Campeche; y fuertes en Yucatán y Quintana Roo.
La masa de aire polar asociada al frente mantendrá el evento de “Norte” con rachas de viento de 60 a 80 kilómetros por hora (km/h) en Tamaulipas, Veracruz e istmo y golfo de Tehuantepec; así como el descenso de las temperaturas en el norte, centro y oriente del territorio nacional.
Por otra parte, un canal de baja presión sobre el occidente y sur del país, en combinación con inestabilidad atmosférica y el ingreso de humedad de ambos océanos, generarán lluvias y chubascos con descargas eléctricas y posible caída de granizo en las regiones mencionadas, incluido el Valle de México.
Una Circulación anticiclónica en niveles medios de la atmósfera mantendrá el ambiente caluroso a muy caluroso en el occidente, sur y sureste de México, continuando con la onda de calor en zonas de Jalisco (centro, sur y suroeste), Michoacán (centro y oeste), Guerrero (noroeste, centro y sur) y Oaxaca (centro) e iniciará una onda de calor en Sinaloa (sur), Nayarit (norte) y Morelos (sur).
Más historias
Julio César Chávez defiende a Omar tras su arresto en Sinaloa
Tamaulipas logra la mayor mejora en paz del país y entra al top 10 nacional: Índice de Paz México 2026
Ricardo Monreal propone reforma para declarar nulidad de elecciones ante intervención extranjera